A flying ship...
Your daily dose of natural disaster and amazing phenomena for March 5, 2021
Tsunami waves hit New Zealand…
Thousands cut off by floods in Peru…
Chukotka is cut off from the world…
Dangerous Pinatubo volcano is heating up…
Ash emissions at Mount Veniaminof volcano in Alaska…
Monster avalanche kill 14 in Afghanistan…
Nagasaki, 20 minutes after the atomic bombing in 1945
'Gravity portals' astrophysics…
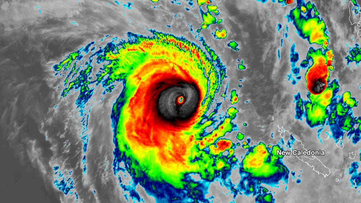
Tropical Cyclone Niran rapidly intensifies to Cat 5 in South Pacific…
The doomed sailors of Pearl Harbor…
Laos mysterious plain of jars…
Creepy video of robot dog exploring SpaceX crash site (see yesterdays’s newsletter for videos of the crash)
Apocalyptic isn’t it?
Scientists grow human-Neanderthal hybrid minibrains in lab…
India threatens jail for FACEBOOK, WHATSAPP, TWITTER employees...
Bitcoin storm brewing… Tesla stock tumbles 25% in a month…
The Kiaat Tree (Pterocarpus angolensis, also called “bloodwood”) releases red sap when cut…
I hope you enjoyed and learned something in today’s newsletter! Now this is how you can help:
Thank you, Manuel





