Divide and conquer! The Great Theatre...
Your daily dose of natural disasters and amazing phenomena for July 1, 2024...
The USA just went through a mass humiliation ritual…
The U.S. has been purposely divided and is being led by corrupt clowns all around. None of this has been by accident, all precision planned .
What is on the TV and the news isn't actually what is important to people. It's just what the media tries to push as many people as possible into focusing on... and uselessly fighting about it... because it's very polarized. Divide and conquer…
I don’t like either of these guys but the line “I don’t even know what he just said, I don’t even think he does” was literally comedy gold…
Annoying… Right before the 4th of July… US military bases in Bulgaria, Italy, Romania and Germany raise security threat levels…
In China, a nearly 600-ton Tianlong-3 orbital rocket crashed and exploded during testing…
The company says it generated $10.166 billion in profits last year… They could invest in their American workers and wear that with pride but what if they could make even more money? John Deere announces mass layoffs in Midwest amid production shift to Mexico…
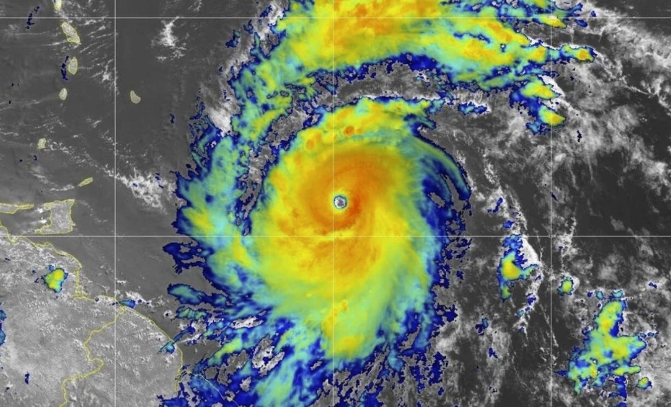
Not exactly the greatest sign, if we're being honest… Hurricane Beryl makes history as first Cat 4 storm ever to form in June…

MORE… This is how you know corporations aren't really people… $244M fine is a drop in the bucket for Boeing. This is an absolute joke of a legal system… TOO BIG TO CRASH… Justice Department is said to offer Boeing plea deal over 737 Max crashes…
Immigration is definitely the main issue in France…
Well, women have a right to vote, still. Maybe time to use it smartly… Voters kick all the Republican women out of the South Carolina Senate…
One of the strangest stories in NBA history happened in 1979…
There were 200.000 people at the parade and it was stopped by 20 protesters??? LOL! Toronto Pride Parade cancelled mid-route after pro-Palestinian demonstration on Yonge…
Chinese bot farms…
The snow crab season for this year was canceled for the 2nd time in a row because of the massive overfishing. A couple of years ago scientists found out we had fished 10 billion Snow Crabs, which is 90% of their population. So they are closing the fishing season to try and save the population… The fisherman are of course complaining about lack of work but even if the population rebounds, it will just be over fished again… Alaska's snow crab season canceled for second year in a row as population fails to rebound…
The SAME Congressman who exposed AIPAC's influence over Congress two weeks ago on Tucker Carlson's show… Congressman's wife just "died unexpectedly"... If you have time, you can watch the whole interview here:
LOL! Do you believe that? ‘Those convicted of rape, sexual assault, murdering two or more people or crimes against Ukraine’s national security aren’t eligible…’ Ukraine is releasing thousands of prisoners so they can join the fight against Russia…
Seems likely it was Boko Haram. Their name means "education is forbidden" in English, for anyone unfamiliar…
HEY FRIENDS! PLEASE SUPPORT MY WORK! THANKS YOU!
It is happening everywhere… Canada 'sleepwalking' into cashless society, consumer advocates warn…
A combination of cultured cells and silicone could help robots appear more human in future thanks to realistic skin elasticity. And they can smile like us too…

MORE… A judge has acquitted 28 people accused of money laundering in an international case known as the Panama Papers, including the co-founder of a law firm that authorities say was at the center of a conspiracy to hide money linked to illegal activities… Judge acquits 28 people accused in Panama Papers case, including law firm co-founder…
Tribes honor the birth of a rare white buffalo calf in Yellowstone on June 4 and reveal its name: Wakan Gli or "Return Sacred" in Lakota…
No movies, no books, no food or water: Would you try 'rawdogging'on your next long-haul flight? NO!
The Village of Ruidoso has issued an "immediate evacuation" order after flash flooding was reported on the Rio Ruidoso Sunday afternoon, June 30…
Seismic signals have suggested Mars gets hit by around 300 basketball size meteorites every year, providing a new tool for dating planetary surfaces… 'Cosmic clock'…
the storm began at around 2 a.m. and lasted for 30 minutes. During that time, baseball-sized hail and wind caused extensive damage to Cozad, with a lesser amount of damage caused to Gothenburg… The people of Cozad and Gothenburg are now dealing with cleanup after the Saturday morning severe hailstorm…
Maybe Wrangle Island wasn't at the top of the world when the Mammoth were around… Demise of last mammoths on Arctic island 5,500 years ago was 'sudden'…
Ferocious storms and torrential rains that lashed France, Switzerland and Italy this weekend have killed seven people…
Why now? Significant botulism contamination incident in Russia results in 369 people hospitalised, 1 dead, in just 1 week… Meanwhile in the U.S., potential botulism sparks coffee recall…Could be a clue…
The first six months of 2024 are in the books. Amateur astronomer Eduardo Schaberger Poupeau stacked daily sun images for all 182 days, and it looks like Solar Max:
Solar Max is far from over. Forecasters expect it to persist for 2 to 3 years, and we are just getting started…
I hope you enjoyed today’s newsletter. If you have problems reading it, please follow the instructions here…
Hey friends! Now its time to SUPPORT MY WORK!
If a few more people choose to become paid subscribers, I could expose more lies, root out more corruption, and call out more hypocrites. So, if you can afford it, please support this work.
Thank you and have a great Monday,
Manuel





I think Joe Biden is very charismatic - he only speaks in unknown tongues.
Boeing may be going the route of McDonnell Douglas whose cargo doors on the DC-10 caused the crash of Turkish airlines flight from France to London, Flight 981 in March of 1974. All 346 people on board died in the most deadly single airline crash in history. The door was previously responsible for the near crash of another DC-10 (landed safely) which alerted the FAA to mandate that the locking mechanism on the cargo doors of all DC-10s be upgraded and the floors vented to prevent them from collapsing during rapid decompression. None of this was done. Subsequent crashes and failures eventually lead to the demise of McDonnell Douglas corporation. Could we end up with ONE mega
commercial airline manufacturer? I don't think we'll have the time to find out!